売地
| 価格 |
3,290万円 | 交通 | 外房線 「茂原」駅 徒歩13分 |
|---|---|---|---|
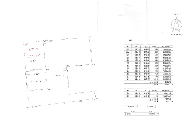
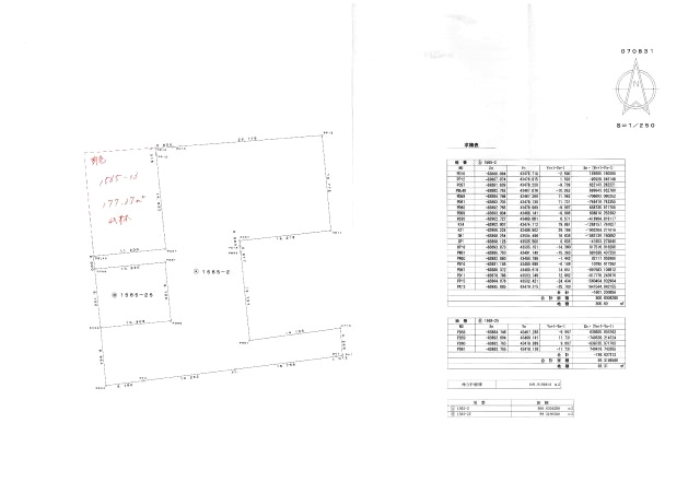
| 土地面積/坪数 | 899.91㎡ / 272.22坪 | 所在地 | 千葉県茂原市茂原 1565-2 同番25 |
| 建ぺい率 | 60% | 容積率 | 200% |
「利回り」は、当該不動産の1年間の予定賃料収入の不動産取得対価に対する割合であり、公租公課その他当該物件を維持するために必要な費用の控除前のものです。
また、予定賃料収入が確実に得られる事を保証するものではありません。

住宅街にある敷地面積270坪超の広い敷地!
茂原駅より徒歩約13分!東部小まで徒歩10分!
茂原警察署、サイゼリヤ、ドン・キホーテも徒歩圏です!
うれしい都市ガス、本下水エリア!
水害履歴ありません!隣接地も同時に販売中です
※地図上の物件位置は近隣に物件が所在することを表すものであり、実際の物件所在地とは異なる場合がございます。
0475-36-2336
営業時間:9:00~18:00 / 定休日:祝日、GW、夏季、年末年始
| 所在地 | 千葉県茂原市茂原 1565-2 同番25 | ||
|---|---|---|---|
| 交通 | 外房線 「茂原」駅 徒歩13分 | ||
| 価格 | 3,290万円 | 坪単価 | 12.09万円 |
| 土地面積 | 899.91㎡ | 建築条件 | 無 |
| 土地権利 | 所有権 | 建ぺい率/容積率 | 60%/ 200% |
| 私道負担面積 | 25.00㎡ | セットバック | 25.00㎡ |
| 接道状況 | 角地 (東側 公道5.5m 間口19.0m) (北側 私道2.0m 間口25.0m) | ||
| 地目 | 山林 | 地勢 | |
| 土地の権利形態 | 開発面積 | ||
| 都市計画 | 非線引区域 | 用途地域 | 第一種中高層住居専用地域 |
| その他法令上の制限 | |||
| 国土法届出 | 不要 | 取引態様 | 専任媒介 |
| 現況 | 更地 | 引渡し | 相談 |
| 設備条件 |
電気有
上水道/都市ガス/本下水 |
||
| その他条件 | |||
| 備考 | 要セットバック/公簿面積にて売買/現況有姿にて引渡し/境界明示 | ||
| 周辺の学校 | |||
| 物件番号 | 97136419 | ||
| 情報公開日 | 2025年11月11日 | 次回更新予定日 | 2025年11月25日 |
| 取引条件の有効期限 | 2025年11月25日 | ||
| 取扱い会社 |
(株)小沢工務店 〒297-0026 千葉県茂原市茂原1047-9 千葉県知事(3)第16272号 (一社)千葉県宅地建物取引業協会 |
||
0475-36-2336
営業時間:9:00~18:00 / 定休日:祝日、GW、夏季、年末年始
| 所在地 | 物件の住所を表示。(詳細住所は表示していない場合もある) | ||
|---|---|---|---|
| 交通 | 物件(部屋)の沿線駅・バス停を表示。(複数駅・バス停の利用が可能な場合は最大3件まで) | ||
| 間取り/詳細 | 数字は居室数を表示。LDKはそれぞれ「リビング」「ダイニング」「キッチン」、S(納戸)とは「納戸」「サービスルーム」「マルチルーム」「フリールーム」など建築基準法第28条に適合していないため、居室と認められない納戸その他の部分を表す。 | ||
| 価格 | 販売されている住戸の価格を表示。仲介手数料は含まない。 | ||
| 管理費 | 共同住宅の設備その他共用部分の維持および管理をするために必要な費用を表示。 | ||
| 修繕積立金 | 共用部分の修繕のために積立てる金額を表示。 | ||

売地
| 価格 | 3,200 万円 | ||
|---|---|---|---|
| 土地面積 | 835.87㎡ | 建築条件 | 無 |
| 土地坪数 | 252.84坪 | 坪単価 | 12.66万円 |
| 建ぺい率 | 60% | 容積率 | 200% |
| 住所 | 千葉県茂原市東茂原7-7 他 | ||
| 交通 |
外房線「茂原」駅 徒歩19分
|
||